
코재수술 - 콧구멍 짝짝이를 비공내리기 수술로 교정하는 법
2026-04-01 | Hit : 24
코재수술 - 콧구멍 짝짝이를 비공내리기 수술로 교정하는 법
안녕하세요.
로코코성형외과 김상호원장입니다. ^^
겨울시즌에 바쁘게 지내느라 포스팅을 쉬다가 오랜만에 인사드립니다.
단일 수술 중에서 제가 가장 많이 집도하는 수술이 뭘까?
생각해 봤는데요,
변형15분광대축소술 (+/- 뒷광대축소술)
비공내리기 (코재수술)
비절개 눈매교정수술 (쌍커풀)
이마거상술
눈밑지방재배치+지방이식
정도 될 것 같습니다.
오늘은 위의 수술 중에서
콧구멍 짝짝이를 비공내리기로 교정한 case 를 보여드리겠습니다.
이전에 비슷한 case 수술한 전후사진도 블로그에 많으니
관심 있으신 분들은 아래 포스팅 읽어보시면 도움이 됩니다.
https://blog.naver.com/rococo2015/223826528989
비공내리기 수술로 콧구멍 짝짝이 교정하기
https://blog.naver.com/rococo2015/223645064067
콧구멍 짝짝이 - 3세대 비공내리기 수술로 교정
https://blog.naver.com/rococo2015/223545355611
심한 콧구멍 짝짝이 - 비공내리기 수술로 비대칭 교정하기
https://blog.naver.com/rococo2015/223500287655
티나는 뾰족코 코끝 낮추기 + 비공내리기 수술로 콧구멍 짝짝이 교정
https://blog.naver.com/rococo2015/223490131336
짝짝이 콧구멍 - 비대칭 비공내리기 수술로 교정
https://blog.naver.com/rococo2015/223474994462
짝짝이 콧구멍 비공내리기 붓기 빠지는 과정
https://blog.naver.com/rococo2015/223394006912
콧구멍 짝짝이와 찝힌코를 비공내리기와 비개방 비주내리기로 교정하는 법
https://blog.naver.com/rococo2015/223305090004
콧구멍 짝짝이 - 비공내리기 2단계 수술로 교정하는 법
https://blog.naver.com/rococo2015/223045603309
휜코와 안면비대칭이 있는 분들께 - 콧구멍 짝짝이 포함
포스팅이 너무 많으니 전후사진만 확인해보셔도 됩니다. ^^
오늘 보실 환자분 정면사진입니다.
타병원에서 코성형 후 좌측(사진상 우측) 콧구멍이 찝혀 올라가
스트레스 받으며 지내시다가
비공내리기 - 라는 수술이 있다는 말을 들으시고
검색해서 내원하신 분입니다.
몇 군데 병원에 상담을 가 본 적이 있으신데,
수술이 안된다는 이야기를 들으셨다고 합니다.
이런 콧구멍을 비공내리기 수술로 내려서 비대칭을 완화시키는 수술이
제가 가장 많이 하는 수술 중 하나입니다.
수술 전 여러 각도에서 사진을 보겠습니다.
수술 전 아래쪽에서 본 사진입니다.
한 쪽 비공내리기 수술 상담을 오신 분들께
상담시에 항상 미리 말씀드리는 내용이 있는데
한 쪽만 수술하기 때문에
귀연골+피부 이식이 한 쪽 콧구멍에만 들어가니
그 콧구멍이 더 커지는 경우가 많고
그것 때문에 아래쪽에서 본 양측 콧구멍은
수술 후 더 비대칭이 될 수 있다는 점입니다.
특히 수술 후 이틀 지나서 코 막은 솜을 빼고 나면
콧구멍을 막았던 것 때문에 며칠간 수술한 콧구멍이 상당히 커보입니다.
이것은 붓기가 빠지면서 많이 작아지니 놀라지 마세요.
어느 정도 차이가 나는지는
다른 포스팅의 수 많은 전후사진을 보시고 직접 확인하시길 바랍니다.
블로그에 올라간 전후사진은 대부분 아직 붓기가
제법 남아 있는 상태의 수술 후 사진이라
나중에 붓기가 빠지면 비대칭이 훨씬 더 줄어들게 됩니다.
이런 부분에 대해서 수술 받으신 환자분들께 컴플레인 들어본 적은
아직 한 번도 없었습니다.

수술 전 양 사면 사진입니다.

수술 전 양 측면 사진입니다.
아래쪽에 있는 좌측 콧구멍이 더 위에 있는 것을 확인할 수 있습니다.
수술 전 실내조명으로 찍은 정면 사진입니다.
콧구멍 짝짝이가 상당히 심한 편이라
이런 경우는 6개월 이후 2차 수술이 필요할 수 있다고 미리 말씀드립니다.
한 번에 콧구멍을 내릴 수 있는 양이 한계가 있기 때문입니다.
수술은 수면마취하에 연골+피부 복합조직 이식술로
좌측 비공내리기 시행하였습니다.
비개방형 수술이라 코 겉으로는 흉터가 보이지 않고,
수술시간은 20분 걸립니다.
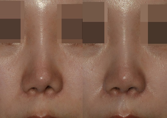
전후사진을 보겠습니다.
수술 전과 수술 후 한 달 사진입니다.
심한 콧구멍비대칭이 깔끔하게 교정되었습니다.
환자분들 만족도가 매우 높은 수술입니다.
아래쪽에서 본 전후사진입니다.

양 사면 전후사진입니다.

양 측면 전후사진입니다.
실내조명에서 전후사진입니다.
https://blog.naver.com/rococo2015/223426113165
비공내리기 수술의 부작용은 어떤게 있나요?
https://blog.naver.com/rococo2015/223856275188
코 성형수술, 코재수술의 모든 것
오직 실력승부
결과로 말하는 로코코성형외과입니다.
로그인
회원가입
개인정보 취급방침
PC 버전
